En bref

  • Ref. : 7244277
  • Aalbeke
  • Terrain : 2431 m²
  • ≤ € 500k
  • De € 500k à € 750k
  • De € 750k à € 1M
  • + € 1M

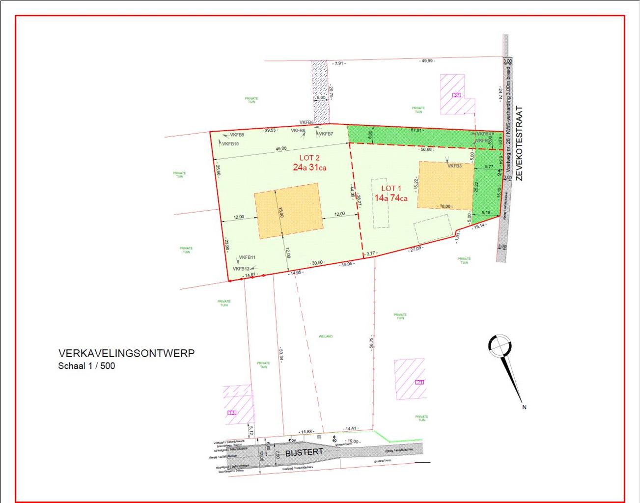
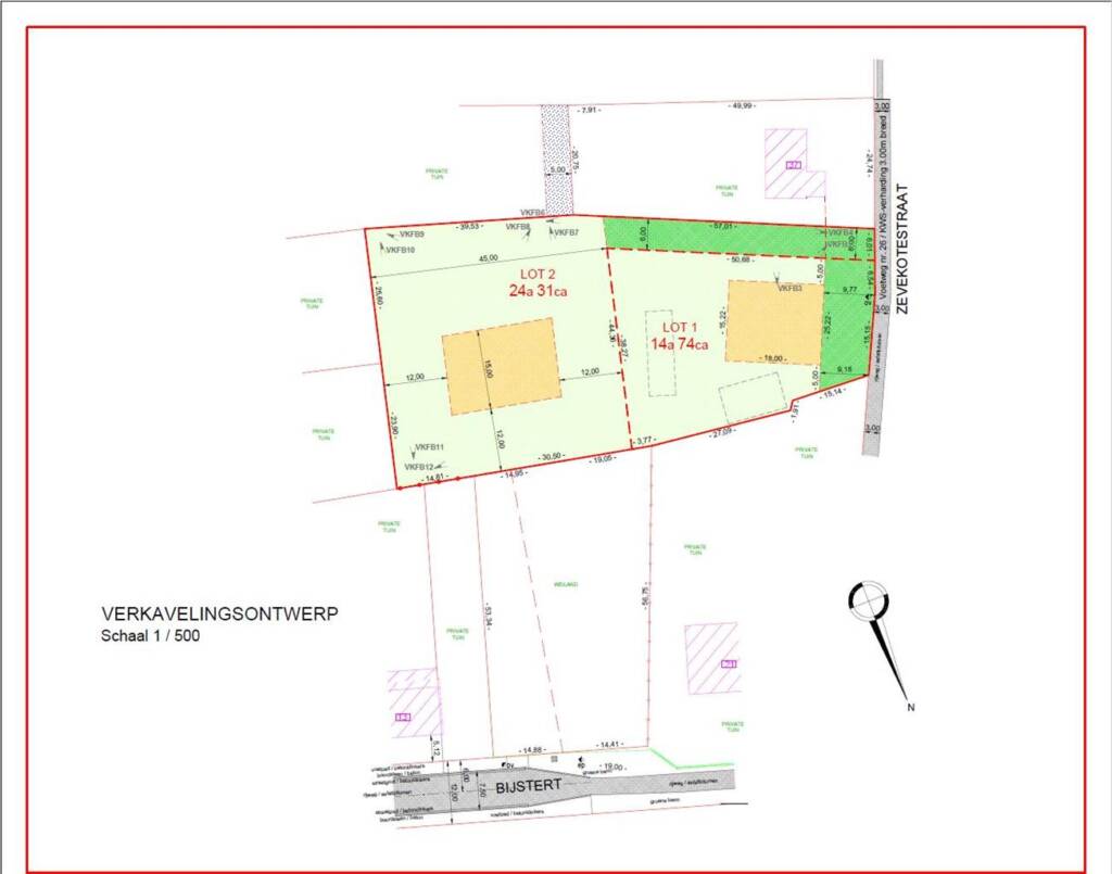
Terrain à bâtir très exclusif de 2.431 m² à Aalbeke!

Terrain à bâtir très exclusif, emplacement de 1e ordre. Au bout d’une rue sans issue et à distance de marche du centre d’Aalbeke, nous vous proposons un terrain à bâtir de 2.431 m² avec allée privée. TOP...

L'émeraude en un coup d'oeil

Détails de la propriété.

Description détaillée

Terrain à bâtir très exclusif, emplacement de 1e ordre.

Au bout d’une rue sans issue et à distance de marche du centre d’Aalbeke, nous vous proposons un terrain à bâtir de 2.431 m² avec allée privée.

TOP SECTEUR!

N’hésitez pas à nous contacter pour obtenir les prescriptions complètes.

Publicité à caractère non contractuel et ne constituant pas une offre.
Les propriétaires se réservent le droit de décision, d’acceptation ou non sur toute(s) offre(s) soumise(s) pour leur bien.

Caractéristiques principales
Environnement
Energie
  • E-Spec

    kwh/m²/an

Vous voulez en savoir davantage ?

Jérémie Dassonville, notre expert Emeraude s’occupe de la vente de ce bien. Contactez-le afin de prendre rendez-vous et d'organiser une visite.

Choisi pour vous